-- -- -- / -- -- --
إدارة الموقع
بحسب مصادر رسمية

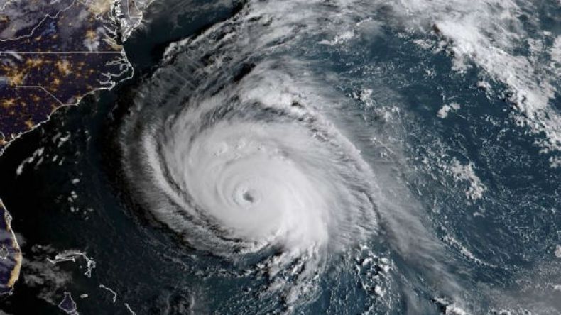
هذه حصيلة إعصار فلورنس؟

هذه حصيلة إعصار فلورنس؟

أودى إعصار فلورنس بحياة 4 أشخاص على الأقل حتى الآن في ولاية كارولينا الشمالية بينهم أمّ وطفلها.
وفيما أدّت الرياح العاتية الجمعة إلى اقتلاع أشجار، تسبّبت الأمطار الغزيرة في فيضانات حاصرت عشرات السكّان.
وتحدّثت مصادر رسميّة ووسائل إعلاميّة عن وجود ما لا يقلّ عن أربعة قتلى حتّى الآن.
وأعلن البيت الأبيض الجمعة أنّ الرئيس الأمريكي دونالد ترامب سيزور الأسبوع الجاري مناطق ضربها الإعصار.
وأنقذت فرق الطوارئ مئات الأشخاص المحتجزين الجمعة جرّاء هذا الإعصار الذي ضرب الساحل الشرقي للولايات المتحدة.
وأعلنت الشرطة في ويلمنغتون بكارولاينا الشمالية أنّ “امرأة وطفلها لقيا حتفهما عندما سقطت شجرة على منزلهما وأُصيب الأب” وأُدخل المستشفى.
وقال روي كوبر حاكم ولاية كارولاينا الشمالية “العاصفة تعيث الفوضى في ولايتنا.. نحن قلقون جدًا لأنّ أحياء بكاملها يُمكن أن تمحى”.
وحصل أسوأ الفيضانات من جرّاء الإعصار العملاق في بلدة نيو بيرن في كارولاينا الشمالية، حيث فاض نهر نيوس وأغرق الشوارع وأدى إلى احتجاز كثيرين داخل منازلهم.
وكتبت سلطات نيو بيرن على تويتر “نحن قادمون لإخراجكم. ربما تضطرون إلى الصعود إلى الطبقة الثانية أو إلى العلية، لكننا سنأتي لإخراجكم”.
وقال الحاكم كوبر إنه جرت حتّى الآن “مئات” عمليّات الإنقاذ.. “ولا يزال يتعيّن علينا الوصول إلى عدد من الأشخاص”. وأضاف إنّ “عمّال الإنقاذ يعملون في ظروف خطرة ستُصبح أكثر سوءًا”.
وأشار إلى أنّ نهر نيوس ارتفع لمسافة ثلاثة أمتار كما أنّ هطول الأمطار “لم يحدث منذ 100 عام”.
ولفت إلى أنّ 20 ألف شخص نُقلوا إلى ملاجئ في أنحاء الولاية.
وأعلنت الوكالة الفدرالية لإدارة الأوضاع الطارئة أنّ “الخطر الشديد” لإعصار فلورنس يبقى قائمًا حتّى 36 ساعة.
وقال مساعد مدير الوكالة جيف بايرد إنّ تأثير الإعصار لم ينته بعد، موضحًا أنّ “خطره الشديد يبقى قائمًا بين 24 و36 ساعة”.
واستفاقت مدينة ويلمينتغتون الساحليّة على أصوات انفجار المحوّلات الكهربائية ورياح قوية اقتلعت إشارات المرور وملأت الطرق بالحطام ومشاهد اندفاع المياه في كل الاتجاهات، بحسب مراسل وكالة فرانس برس.
وأعلن المركز الوطني للأعاصير أنّ “فلورنس تسبّب بتساقط أمطار غزيرة في رايتسفيل بيتش في ولاية كارولينا الشمالية عند الساعة 7,15 (11,15 ت غ) مع رياح بلغت سرعتها 150 كلم في الساعة”.
وحذّر مدير المركز كين غراهام من أنّ بطء تقدّم الإعصار يفاقم خطره حتّى في المناطق الواقعة خارج مساره.
وقال غراهام “كلّما طال هبوب الرياح المرافقة للإعصار، زاد تدفّق المياه إلى المناطق الداخلية”.
ومع بدء وصول الإعصار أشارت تقارير إلى انقطاع التيار الكهربائي عن نحو 300 ألف شخص في ولاية كارولينا الشمالية.
وذكر المركز الوطني للأعاصير في تحديثه للمعلومات الساعة 12:00 ت غ أن سرعة رياح الإعصار فلورنس بلغت 90 ميلا في الساعة (150 كلم/ساعة) وأنه يتقدم في اتجاه شمالي-غربي بسرعة 10 كيلومترات في الساعة.
وتابع المركز أنّ الخطر الأكبر الذي يُشكّله الإعصار يتمثّل في ارتفاع منسوب المياه مع توقّع “فيضانات كارثية واستمرار الفيضانات النهرية” بعد أن شهدت مناطق تساقط أكثر من ألف ملم من الأمطار.
وفي عرض للآثار الأولى للعاصفة، أظهر جهاز قياس الفيضانات على نهر نيوز في نيو بيرن ثلاثة أمتار من المياه، بحسب المركز.
ومع اقتراب الرياح من المناطق الساحلية في وقت سابق الخميس، حضّ المسؤولون الفدراليون ومسؤولو الولايات الأهالي على تجنّب مسار الإعصار.
وأكّد الحاكم كوبر في مؤتمر صحافي أنّ “هذه العاصفة ستجلب الدمار” للولاية. وتابع أن السكان “سيشعرون بآثار كارثية”.
وأعلن المركز الوطني للأعاصير أنّ الرياح الأشد قوة المرافقة للإعصار يصل قطرها إلى نحو 128 كلم وتلك الأقل قوة إلى نحو 313 كلم.
كذلك أطلق تحذيرًا من احتمال تشكّل زوابع في مناطق من ولاية كارولينا الشمالية.
وحذّر مدير الوكالة الفدرالية لحالات الطوارئ بروك لونغ من أنّ الخطر لا يداهم المناطق الساحلية فحسب “فالفيضانات الداخلية تقتل العديد من الناس، مع الأسف، هذا ما سنراه”.
وصدرت أوامر إخلاء طوعًا أو قسرًا لحوالي 1,7 مليون شخص مقيمين في ولايات كارولينا الجنوبية وكارولينا الشمالية وفيرجينيا، وملايين آخرين يقيمون في أماكن عرضة لتهديدات الإعصار.

أضف تعليقك

جميع الحقول مطلوبة, ولن يتم نشر بريدك الإلكتروني. يرجى منكم الإلتزام بسياسة الموقع في التعليقات.

لقد تم ارسال تعليقكم للمراجعة, سيتم نشره بعد الموافقة!
التعليقات
0
معذرة! لا يوجد أي محتوى لعرضه!